前海百万建面大盘有新进展,一期计划8月面市。
日前,前海管理局公示了1-5月前海建设项目建设工程规划许可核发公告。在核发的29个项目中,蔚蓝海尚花园A\B\C区三个项目尤其引人瞩目。

蔚蓝海尚花园是卓越集团开发的沙井民主股份公司征地返还用地项目-卓越前海未来城的一期项目。
卓越前海未来城位于深圳市宝安区沙井街道民主社区,北至民主大道,东至锦程路,西至海上田园风光旅游区,南至三间仔,处于大前海片区,具体在在12号线地铁海上田园东站两侧。


卓越前海未来城规划计容总建筑面积约118.15万㎡,其中,住宅建筑面积达94.42万㎡。据悉项目将分五期开发,共涉及6个地块(4块为二类居住用地,1块为商业用地,1块为教育用地)。其中二类居住用地、商业用地面积32万㎡。

图|网传项目整体效果图
据悉,卓越前海未来城的一期蔚蓝海尚(A、B、C地块)将于8月面市,大前海板块百万建面大城将给沙井带来全新城市封面。
一期处于12号线地铁口
规划2380套住宅
蔚蓝海尚位于整个项目的东北角,地块呈梯形,西侧为12号线海上田园东地铁口,东侧是深圳第七高级中学。

图|蔚蓝海尚效果图

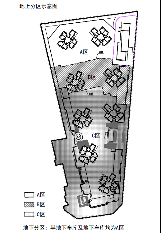
蔚蓝海尚花园A、B、C3个区域,建设用地约4.5万㎡,总建面约31.3万㎡(其中,住宅约20.3万㎡,商业4500㎡),容积率5.5,合计2380套住宅,规划2370辆停车位(地上610辆、地下1760辆),规划有9班幼儿园及其他社区公共配套。此外,项目规划户型套内面积均<90㎡,预计以刚需户型为主。

其中,A区域规划为总建筑面积12.6万㎡,计容建面约5.3万㎡,其中,住宅约5万㎡,规划2栋超高层住宅(1栋1单元47F、2单元46F),共规划595套住宅。


B区总建筑面积6.1万㎡,计容建面约6.1万㎡,其中,住宅约5.1万㎡,规划2栋楼(2栋1单元47F,2栋2单元46F),共规划595套住宅。

C区总建筑面积12.5万㎡,计容建面约12.5万㎡,其中,住宅约10万㎡,商业4500㎡,社区菜市场1500㎡。规划4栋楼体(3栋1、2、4单元47F、3栋3单元45F),共规划1190套住宅。


蔚蓝海尚花园将建成8栋楼体的围合式住宅,规模来看,小区属于不大不小的社区,规划 有幼儿园、商业、菜市场等社区公共配套设施,整体而言,居住舒适度较可。
从项目整体规划来看,项目西侧为海上田园景区,西向无遮挡的话,西向房源可实现海景自由,刚需也可以坐拥海景房~

图|地图测距
会展新城板块
享受多重规划发展利好
蔚蓝海尚花园所处的大前海板块,是目前区域重点开发建设区域,从规划上来说拥有大前海、会展经济、海洋经济、大空港经济等多重规划利好的发展前景,未来潜力巨大。
周边环境及配套短期内而言相对缺乏,但从长远来看,未来会展新城建成后,产业配套、商业环境、市政基础配套都将实现质的飞跃。

当然,一个区域的整体发展,需要长周期的建设,或许难免会有规划改动的风险,短期内无法一一兑现。
就现阶段而言,卓越蔚蓝海尚花园周边的配套和即将建成配套依然扛打。
轨道交通方面,卓越蔚蓝海尚花园属于地铁12号线海上田园南站地铁口物业,轨道出行十分便捷。从项目出发,2站可到深圳国际会展中心。作为深圳地铁“换乘王”,经12号线可快捷换乘地铁20号线,快捷通达宝中、前海、南山、福田等核心区域。
另外,地铁12号线二期工程“北上”将与6号线、11号线在松岗站接驳。
商业方面,作为总建面超百万的“超体”项目,卓越前海未来城也规划了一定体量的商业,首期的蔚蓝海尚规划了能满足日常生活所需的商业及菜市场。
距离卓越蔚蓝海尚花园地铁一站之隔,在建有华发冰雪世界商业综合体,预计将于2025年11月开业,也就是,在项目入伙之前,这一系列配套或已经上线运营。
据悉华发冰雪世界项目总投资超296亿元,将以冰雪主题为核心特色,通过全球顶级室内滑雪场、高端酒店、冰雪沉浸主题商业、Funmix活力空间等,结合冰雪产业链上下游,打造城市文旅地标。
未来,片区除了海上田园大型生态公园外,还将拥有全新的文旅出游好去处。
教育资源方面,卓越蔚蓝海尚花园与深圳第七高级中学相邻,学习氛围浓厚。项目配建有9班幼儿园,现阶段在项目周边也规划了多宗教育用地,涵盖有幼儿园、小学、初中、九年一贯制、高中等各年龄段教育需求。(具体入学,以当年区教育公示为准)
综合而言,卓越蔚蓝海尚花园所处板块属于比较有想象空间、未来规划十分可观的区域,短期内可能受周边施工影响,城市面貌及环境会一般。
如果预算有限,且计划在会展新城置业的购房者不妨等等看这个刚需海景房。
注:部分信息源于网络,仅供参考,最终数据以开发商公示为准。
免责声明:本页面旨在为广大用户提供更多信息的无偿服务;不声明或保证所提供信息的准确性和完整性。本站内所有内容亦不表明本网站之观点或意见,仅供参考和借鉴,购房者在购房时仍需慎重考虑。购房者参考本站信息,进行房屋交易所造成的任何后果与本网站无关,当政府司法机关依照法定程序要求本网站披露个人资料时,我们将根据执法单位之要求或为公共安全之目的提供个人资料。在此情况下之任何披露,本网站均得免责。本页面所提到房屋面积如无特别标示,均指建筑面积。 注:本站所有信息未经许可,不得转载,复制,抓取等,如有违者必追究法律责任。如有异议可投诉至:Email:133 46734 45@qq.com